Nhà 3 tầng 57m2,3PN,Cạnh tên lửa, tỉnh lộ 10 bình tân
185 lê đình cẩn
- 3
- 3
- 57 m2
- Bất Kỳ
- Giá: 5.85 Tỷ
- Loại tin đăng: Thường
- Ngày đăng: 04-04-2026
- Ngày hết hạn: 04-05-2026
Tiện ích
Trung tâm
Trạm xe buýt
Khu Thương Mại
Công Viên
Nhà Hàng
Trường Học
TDTT
Bệnh Viện
Ngân Hàng
Tiện Ích Khác
UBND
Chợ
Mô Tả
Chủ tặng full nội thất Bình Tân Kết cấu: Số tầng: 3 (gồm 1 trệt, 2 lầu, ban công, sân thượng …) đúc BTCT chắc chắn, có PK, bếp, 3PN, 3WC ...
Đường trước nhà: xe hơi chạy, khu an ninh, sạch sẽ.
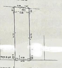
Diện tích:57 m2 (ngang 4m, dài 14m)
Pháp lý: sổ hồng riêng. Công chứng ngay.
Giá chỉ: 5.85 tỷ.
Lh 0789159616
Đường trước nhà: xe hơi chạy, khu an ninh, sạch sẽ.
Diện tích:57 m2 (ngang 4m, dài 14m)
Pháp lý: sổ hồng riêng. Công chứng ngay.
Giá chỉ: 5.85 tỷ.
Lh 0789159616
Thông tin liên hệ:
Vị trí Bất Động Sản trên Bản Đồ
Mở Bản Đồ Chỉ Dẫn Đường Đi Đến Vị trí Bất Động SảnĐể xem cảnh quan xung quanh Nhà Đất, bạn kéo biểu tượng
và thả vào bản đồ ở vị trí 
Bán Kính Tiện Ích Xung Quanh Vị Trí Bất Động Sản:
Sản Phẩm Tương Tự
(không có)
Bán
Bán nhà Hẻm 346/38/20 Phan Văn Trị, p.11, Bình Thạnh
Hẻm 346/38/20 Phan Văn Trị, phường 11, Bình Thạnh, Thành phố Hồ Chí Minh, Việt Nam
- 68.7
- Đông Bắc
- Giá: 4.3 Tỷ
- 19-11-2020
(không có)
Bán
Nhà đẹp, nội thất cao cấp hẻm xe tải Lê Văn Quới Quận Bình Tân
Hẻm 439 Lê Văn Quới, Bình Trị Đông A, Bình Tân, Thành phố Hồ Chí Minh, Việt Nam
- 4
- 4
- 70
- Tây
- Giá: 7.5 Tỷ
- 03-03-2022
(không có)
Bán
Bán nhà phố phú lợi chỉ 700tr sỡ hưu căn nhà dt 6m×30m
thị trấn Định Quán, Định Quán, Đồng Nai, Việt Nam
- 2
- 1
- 180
- Tây Bắc
- Giá: 700 Triệu
- 04-02-2020
(không có)
Bán
Bán nhà hẻm đường Y Tế Kỹ Thuật Cao, Bình Trị Đông B
Khu Y Tế Kỹ Thuật Cao, Bình Trị Đông B, Bình Tân, Thành phố Hồ Chí Minh, Việt Nam
- 4
- 6
- 55
- Bất Kỳ
- Giá: 4.9 Tỷ
- 07-10-2020
(không có)
Bán
QUẬN 7 - Bán Nhà hẻm 791 Trần Xuân Soạn, Tân Hưng
Hẻm 791 Trần Xuân Soạn, Tân Hưng, Quận 7, Thành phố Hồ Chí Minh, Việt Nam
- 6
- 6
- 74.6
- Đông Bắc
- Giá: 7.9 Tỷ
- 30-05-2021
(không có)
Bán
NHÀ XINH QUẬN 6 - 25M2 - 2 TẦNG - CHỈ NHỈNH 3 TỶ
Phường 14 , Quận 6
- 2
- 0
- 25
- Bất Kỳ
- Giá: 3 Tỷ
- 01-08-2025
(không có)
Bán
Đất dân liền kề sổ sẵn Bình Phước
An Khương, An Khương, Hớn Quản, Bình Phước, Việt Nam
- 223.3
- Tây Bắc
- Giá: 390 Triệu
- 15-10-2023
(không có)
Bán
Nhà Lê Đình Cẩn cấn bán
184 Lê Đình Cẩn, Tân Tạo, Bình Tân, Thành phố Hồ Chí Minh, Việt Nam
- 4
- 5
- 36.6
- Nam
- Giá: 4.6 Tỷ
- 13-12-2022
(không có)
Cho Thuê
Cho thuê tầng 3, Đường Bạch Đằng, quận Hoàn Kiếm
633 Đường Bạch Đằng, quận Hoàn Kiếm, Hà Nội, Việt Nam
- 1
- 1
- 35
- Tây
- Giá: 3.5 Triệu
- 10-06-2020
(không có)
Bán
Cần bán gấp lô đất Chư Păh - Gia Lai
Hoàng Ofm, Thôn 6, xã Nghĩa Hòa, Chư Păh, Gia Lai, Việt Nam
- 755
- Bất Kỳ
- Giá: 500 Triệu
- 13-08-2022
(không có)
Bán
Bán nhà 115 Phùng Tá Chu, An Lạc A, Bình Tân
115 Phùng Tá Chu, An Lạc A, Bình Tân, Thành phố Hồ Chí Minh, Việt Nam
- 3
- 4
- 103.75
- Tây
- Giá: 7.2 Tỷ
- 28-07-2020
(không có)
Bán
Cách biển 250m, Mặt tiền đường 10m, Hòa Hiệp Nam Liên Chiểu. Giá nhỉnh 2 tỉ
Phường Hòa Hiệp Nam, Liên Chiểu, Đà Nẵng, Việt Nam
- 5
- 87
- Tây Nam
- Giá: 2.8 Tỷ
- 30-10-2023
(không có)
Bán
Bán nhà Hẻm 346/38/20 Phan Văn Trị, p.11, Bình Thạnh
Hẻm 346/38/20 Phan Văn Trị, phường 11, Bình Thạnh, Thành phố Hồ Chí Minh, Việt Nam
- 68.7
- Đông Bắc
- Giá: 4.3 Tỷ
- 19-11-2020
(không có)
Bán
Nhà đẹp, nội thất cao cấp hẻm xe tải Lê Văn Quới Quận Bình Tân
Hẻm 439 Lê Văn Quới, Bình Trị Đông A, Bình Tân, Thành phố Hồ Chí Minh, Việt Nam
- 4
- 4
- 70
- Tây
- Giá: 7.5 Tỷ
- 03-03-2022
(không có)
Bán
Bán nhà phố phú lợi chỉ 700tr sỡ hưu căn nhà dt 6m×30m
thị trấn Định Quán, Định Quán, Đồng Nai, Việt Nam
- 2
- 1
- 180
- Tây Bắc
- Giá: 700 Triệu
- 04-02-2020
(không có)
Bán
Bán nhà hẻm đường Y Tế Kỹ Thuật Cao, Bình Trị Đông B
Khu Y Tế Kỹ Thuật Cao, Bình Trị Đông B, Bình Tân, Thành phố Hồ Chí Minh, Việt Nam
- 4
- 6
- 55
- Bất Kỳ
- Giá: 4.9 Tỷ
- 07-10-2020
(không có)
Bán
QUẬN 7 - Bán Nhà hẻm 791 Trần Xuân Soạn, Tân Hưng
Hẻm 791 Trần Xuân Soạn, Tân Hưng, Quận 7, Thành phố Hồ Chí Minh, Việt Nam
- 6
- 6
- 74.6
- Đông Bắc
- Giá: 7.9 Tỷ
- 30-05-2021
(không có)
Bán
NHÀ XINH QUẬN 6 - 25M2 - 2 TẦNG - CHỈ NHỈNH 3 TỶ
Phường 14 , Quận 6
- 2
- 0
- 25
- Bất Kỳ
- Giá: 3 Tỷ
- 01-08-2025
(không có)
Bán
Đất dân liền kề sổ sẵn Bình Phước
An Khương, An Khương, Hớn Quản, Bình Phước, Việt Nam
- 223.3
- Tây Bắc
- Giá: 390 Triệu
- 15-10-2023
(không có)
Bán
Nhà Lê Đình Cẩn cấn bán
184 Lê Đình Cẩn, Tân Tạo, Bình Tân, Thành phố Hồ Chí Minh, Việt Nam
- 4
- 5
- 36.6
- Nam
- Giá: 4.6 Tỷ
- 13-12-2022
(không có)
Cho Thuê
Cho thuê tầng 3, Đường Bạch Đằng, quận Hoàn Kiếm
633 Đường Bạch Đằng, quận Hoàn Kiếm, Hà Nội, Việt Nam
- 1
- 1
- 35
- Tây
- Giá: 3.5 Triệu
- 10-06-2020
(không có)
Bán
Cần bán gấp lô đất Chư Păh - Gia Lai
Hoàng Ofm, Thôn 6, xã Nghĩa Hòa, Chư Păh, Gia Lai, Việt Nam
- 755
- Bất Kỳ
- Giá: 500 Triệu
- 13-08-2022
(không có)
Bán
Bán nhà 115 Phùng Tá Chu, An Lạc A, Bình Tân
115 Phùng Tá Chu, An Lạc A, Bình Tân, Thành phố Hồ Chí Minh, Việt Nam
- 3
- 4
- 103.75
- Tây
- Giá: 7.2 Tỷ
- 28-07-2020
(không có)
Bán
Cách biển 250m, Mặt tiền đường 10m, Hòa Hiệp Nam Liên Chiểu. Giá nhỉnh 2 tỉ
Phường Hòa Hiệp Nam, Liên Chiểu, Đà Nẵng, Việt Nam
- 5
- 87
- Tây Nam
- Giá: 2.8 Tỷ
- 30-10-2023
Bán
Bán nhà Hẻm 346/38/20 Phan Văn Trị, p.11, Bình Thạnh
Hẻm 346/38/20 Phan Văn Trị, phường 11, Bình Thạnh, Thành phố Hồ Chí Minh, Việt Nam
- 68.7
- Đông Bắc
- Giá: 4.3 Tỷ
- 19-11-2020
Bán
Nhà đẹp, nội thất cao cấp hẻm xe tải Lê Văn Quới Quận Bình Tân
Hẻm 439 Lê Văn Quới, Bình Trị Đông A, Bình Tân, Thành phố Hồ Chí Minh, Việt Nam
- 4
- 4
- 70
- Tây
- Giá: 7.5 Tỷ
- 03-03-2022
Bán
Bán nhà phố phú lợi chỉ 700tr sỡ hưu căn nhà dt 6m×30m
thị trấn Định Quán, Định Quán, Đồng Nai, Việt Nam
- 2
- 1
- 180
- Tây Bắc
- Giá: 700 Triệu
- 04-02-2020
Bán
Bán nhà hẻm đường Y Tế Kỹ Thuật Cao, Bình Trị Đông B
Khu Y Tế Kỹ Thuật Cao, Bình Trị Đông B, Bình Tân, Thành phố Hồ Chí Minh, Việt Nam
- 4
- 6
- 55
- Bất Kỳ
- Giá: 4.9 Tỷ
- 07-10-2020
Bán
QUẬN 7 - Bán Nhà hẻm 791 Trần Xuân Soạn, Tân Hưng
Hẻm 791 Trần Xuân Soạn, Tân Hưng, Quận 7, Thành phố Hồ Chí Minh, Việt Nam
- 6
- 6
- 74.6
- Đông Bắc
- Giá: 7.9 Tỷ
- 30-05-2021
Bán
NHÀ XINH QUẬN 6 - 25M2 - 2 TẦNG - CHỈ NHỈNH 3 TỶ
Phường 14 , Quận 6
- 2
- 0
- 25
- Bất Kỳ
- Giá: 3 Tỷ
- 01-08-2025
Bán
Đất dân liền kề sổ sẵn Bình Phước
An Khương, An Khương, Hớn Quản, Bình Phước, Việt Nam
- 223.3
- Tây Bắc
- Giá: 390 Triệu
- 15-10-2023
Bán
Nhà Lê Đình Cẩn cấn bán
184 Lê Đình Cẩn, Tân Tạo, Bình Tân, Thành phố Hồ Chí Minh, Việt Nam
- 4
- 5
- 36.6
- Nam
- Giá: 4.6 Tỷ
- 13-12-2022
Cho Thuê
Cho thuê tầng 3, Đường Bạch Đằng, quận Hoàn Kiếm
633 Đường Bạch Đằng, quận Hoàn Kiếm, Hà Nội, Việt Nam
- 1
- 1
- 35
- Tây
- Giá: 3.5 Triệu
- 10-06-2020
Bán
Cần bán gấp lô đất Chư Păh - Gia Lai
Hoàng Ofm, Thôn 6, xã Nghĩa Hòa, Chư Păh, Gia Lai, Việt Nam
- 755
- Bất Kỳ
- Giá: 500 Triệu
- 13-08-2022
Bán
Bán nhà 115 Phùng Tá Chu, An Lạc A, Bình Tân
115 Phùng Tá Chu, An Lạc A, Bình Tân, Thành phố Hồ Chí Minh, Việt Nam
- 3
- 4
- 103.75
- Tây
- Giá: 7.2 Tỷ
- 28-07-2020
Bán
Cách biển 250m, Mặt tiền đường 10m, Hòa Hiệp Nam Liên Chiểu. Giá nhỉnh 2 tỉ
Phường Hòa Hiệp Nam, Liên Chiểu, Đà Nẵng, Việt Nam
- 5
- 87
- Tây Nam
- Giá: 2.8 Tỷ
- 30-10-2023
Báo cáo vi phạm
QUY ĐỔI TỶ GIÁ THAM KHẢO
- 0866.058.088
- Email: nhadat888.vn@gmail.com
- Địa chỉ: 151/12 Lạc Long Quân, P.Minh Phụng, Q.11
- Bản quyền © 2026 nhadat888.vn